シロアリ対策ガイド
シロアリ被害の見分け方から業者選び、施工の流れまで。大切な住まいを守るために知っておきたい情報をまとめました。
こんな症状はありませんか?
1つでも当てはまる場合は、シロアリ被害の可能性があります。早めの調査をおすすめします。
- ✓床を歩くと、一部だけブカブカする・きしむ感じがある
- ✓春先(4〜6月頃)に羽のついた虫が大量に飛び出した
- ✓基礎や外壁に、泥でできた線状のもの(蟻道)を見つけた
- ✓浴室・洗面所・トイレなど、水回りの木材が変色・劣化している
- ✓築5年以上で、一度もシロアリの点検・予防処理を行っていない
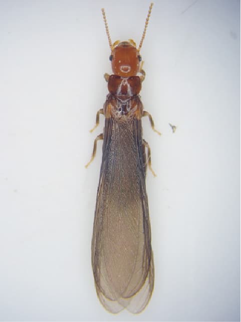
日本に生息するシロアリの種類
日本で住宅に被害を与える主なシロアリは3種類です。種類によって生態や被害の特徴が異なります。
ヤマトシロアリ
日本で最も被害の多い種類。床下の湿った木材を好み、被害箇所がそのまま巣になります。巣の規模は数万匹程度。
写真・詳細データを見る




体長
基本データ
見分けのポイント
- ●固定した巣をつくらない
- ●加害部は湿っぽく汚い。腐朽を伴う場合が多い
- ●兵蟻は攻撃性が弱く粘液は出さない
- ●有翅虫は黒褐色で前胸背板が黄色
- ●前胸背板中央部の剛毛は10本以下
出典: 公益社団法人日本しろあり対策協会
イエシロアリ
ヤマトシロアリより被害が甚大になりやすい種類。地中に大きな塊状の本巣を作り、コロニーは数十万〜百万匹に達します。水を運ぶ能力があるため、乾いた木材も加害します。
写真・詳細データを見る




体長
基本データ
見分けのポイント
- ●固定した塊状の巣をつくる
- ●加害部は比較的きれい
- ●行動範囲が広く、水源が確保できれば乾いた材も湿らせながら加害する
- ●兵蟻は攻撃的で、頭部額腺より乳白色の粘液を出す
- ●有翅虫は黄褐色で頭部は暗褐色
出典: 公益社団法人日本しろあり対策協会
アメリカカンザイシロアリ
北米太平洋岸地域を原産地とする侵入害虫。地面を通っての移動はなく、乾燥した木材や家具を直接加害します。砂粒状で表面に6本の浅い窪みがある排出物(糞粒)が大きな特徴です。
写真・詳細データを見る




体長
基本データ
見分けのポイント
- ●北米太平洋岸地域を原産地とする侵入害虫
- ●固定した巣は作らない
- ●地面を通っての移動はなく、被害材と連続する乾燥材や家具などを加害
- ●近隣への分散は有翅虫による
- ●食痕部に砂粒状で表面に6本の浅い窪みがある排出物がある(長径 0.95〜1.12 mm)
- ●有翅虫は赤褐色〜黒褐色
出典: 公益社団法人日本しろあり対策協会
シロアリと蟻の羽アリの見分け方
シロアリは名前や形がアリに似ていますが、まったく異なった種類の昆虫です。次の点で簡単に見分けられます。


| シロアリ | アリ | |
|---|---|---|
| 触角 | じゅず状 | くの字型 |
| 胴 | ずん胴 | くびれ腰 |
| 羽 | 前羽と後羽の大きさが同じ | 前羽が大きく後羽が小さい |
シロアリ被害の特徴
シロアリ被害は初期段階では気づきにくく、発見した時には既に深刻な状態になっているケースが少なくありません。

蟻道(ぎどう)の発見
シロアリは光と乾燥を嫌うため、土でトンネル状の通り道(蟻道)を作って移動します。基礎コンクリートの表面や、床下の束石、配管周りなどに見られます。幅は5mm〜1cm程度で、茶褐色の泥状のものが特徴です。

木材内部の空洞化
シロアリは木材の内部を食い進むため、外見上は正常に見えても内部がスカスカになっていることがあります。ドライバーなどで突くと簡単に貫通する場合、深刻な食害が進行しています。

羽アリの大量発生
ヤマトシロアリは4〜5月の湿度の高い日に、イエシロアリは6〜7月の夕方に大量の羽アリが飛び出します。羽アリは巣が成熟したサインであり、既にコロニーが大規模になっている可能性があります。

浴室・水回りの被害
シロアリは湿気を好むため、浴室・洗面所・トイレの周辺は最も被害が発生しやすい場所です。タイル張りの浴室では、目地から侵入した水分が土台の腐朽を招き、シロアリの温床になります。
こんな家は要注意
シロアリ被害を受けやすい住環境の特徴です。当てはまる場合は早めの点検をおすすめします。
水回りに水漏れのある家
台所・風呂場・洗面所などの配水管の不良があると、床下に水が流れ込み、床下部材をより一層湿気させます。
結露の多い家・雨どい不良の家
雨どいの不良や雨漏りにより木材が湿気て、シロアリを招きます。被害が建物の高所にまで拡大することも。
床下が低く通風が悪い家
シロアリは暗くて湿ったところを好みます。換気が不十分だと木材腐朽やカビの発生にもつながります。
周囲に雑木林・切り株がある家
切り株や地面に接した木材はシロアリの早期侵入・巣の構築がしやすく、地続きの土の中を移動してきます。
シロアリ防除の施工方法
「木材処理」と「土壌処理」を併用し、二重の薬剤層でシロアリを駆除・予防します。
木材処理
土台・根太・大引・床束などの木材に薬剤を吹き付けます。必要に応じてドリルで穴を開け、薬剤を注入する穿孔注入処理も行います。木材中のシロアリを駆除し、侵入を防ぎます。
土壌処理
建築物の基礎に囲まれた床下の土壌やコンクリート面に薬剤を散布します。地中のシロアリが床下に出てくるのを防ぎます。
二重の防御層
木材処理と土壌処理を併用することで二重の薬剤層を形成。シロアリの駆除と侵入予防を同時に実現します。薬剤は日本しろあり対策協会の認定品を使用しています。
放置するとどうなる?
シロアリ被害は自然に止まることはありません。放置すればするほど被害範囲は拡大し、修繕費用も増大していきます。
- 1建物の耐震性が著しく低下 ── 土台や柱がシロアリに食害されると、建物の構造強度が大幅に低下します。阪神・淡路大震災では、シロアリ被害のあった家屋の倒壊率が高かったことが報告されています。
- 2修繕費用が数十万〜数百万円に ── 初期段階なら数万円の駆除費用で済むケースも、放置して構造材まで被害が及ぶと、大規模な修繕工事が必要になり費用が跳ね上がります。
- 3資産価値の大幅な下落 ── 不動産売却時にシロアリ被害が発覚すると、大幅な価格低下や売却困難を招きます。定期的な予防処理の記録は資産価値の維持にも重要です。
- 4健康被害のリスク ── シロアリ被害が進行すると木材の腐朽が進み、カビの発生やダニの繁殖を招きます。アレルギーや呼吸器疾患のリスクが高まる可能性があります。
しろありQ&A
シロアリ防除に関するよくある質問と回答です。
Qシロアリ防除(予防・駆除)は、どのようにするのですか?+
シロアリは床下から侵入するケースが圧倒的に多いため、「木材処理」と「土壌処理」を併用して作業を行います。木材処理では土台・根太・大引・床束などに薬剤を吹き付け、必要に応じてドリルで穴を開けて薬剤を注入(穿孔注入処理)します。土壌処理では建築物の基礎に囲まれた床下の土壌やコンクリート面に薬剤を散布します。この二重の薬剤層により、シロアリの駆除と侵入予防を同時に実現します。
Q防除の時にはどんな薬剤を使うのですか?+
日本しろあり対策協会が認定した薬剤を使用します。認定薬剤は安全性と効力について厳格な規格に基づいた試験を実施し、合格した製品のみが使用を認められています。
Q薬剤を使って身体に問題ありませんか?+
日本しろあり対策協会の認定薬剤は、居住者の安全性を絶対条件としています。安全性を確認するために様々な試験を実施しており、毎日防除に従事する作業員のためにも安全性は慎重に確認されています。アレルギーのある方などは、かかりつけの医師にご相談ください。
Q防除費用はいくら位かかるのですか?+
防除費用は施工業者が作業内容やアフターサービス体制などを考慮して決めているため、統一された価格はありません。シロアリの種類や施工方法などによっても変わりますので、複数の業者から詳しい説明を受けるようにしてください。
Qアフターケアはどうなっているのですか?+
作業が終わったら保証書が業者から発行されます。万が一シロアリが再発した場合、無料で再施工することなどが保証されることが多いです。薬剤の効果は5年くらいで薄れてきます。シロアリの駆除は経験と技術を必要とする作業ですので、知識を持ったプロの業者に定期的なメンテナンスをしてもらうことをおすすめします。
Q業者さんはどのように選べばいいのですか?+
関東しろあり対策協会の会員業者から選ぶことをおすすめします。会員業者は協会の厳しい審査基準をクリアしており、技術力と誠実さが保証されています。協会では消費者保護の立場から適切な業者をご紹介していますので、お気軽にご相談ください。

